AUTORIZA EXPERIENCIA DE PRUEBA DE DEMARCACIÓN DIAGONAL DE PASOS PEATONALES, EN LAS INTERSECCIONES DE AVENIDA ISIDORO DUBOURNAIS CON JOSÉ NARCISO AGUIRRE, AVENIDA ISIDORO DUBOURNAIS CON AVENIDA FRANCIA Y AVENIDA ISIDORO DUBOURNAIS CON RAÚL ROMERO ERAZO, COMUNA DE EL QUISCO, REGIÓN DE VALPARAÍSO
Núm. 1.235 exenta.- Santiago, 15 de abril de 2021.
Visto:
Lo dispuesto en la Ley 18.059; los artículos 2, 93 y 94 del DFL Nº1 de 2007, de los Ministerios de Transportes y Telecomunicaciones, y de Justicia, que fija el texto refundido, coordinado y sistematizado de la Ley de Tránsito; el decreto supremo Nº 78, de 2012, del Ministerio de Transportes y Telecomunicaciones que aprueba el "Manual de Señalización de Tránsito"; el Ord Nº 139 de 16 marzo de 2021 del Alcalde (S) de la Ilustre Municipalidad de El Quisco; la resolución Nº 7, de 2019, de la Contraloría General de la República y en la demás normativa aplicable.
Considerando:
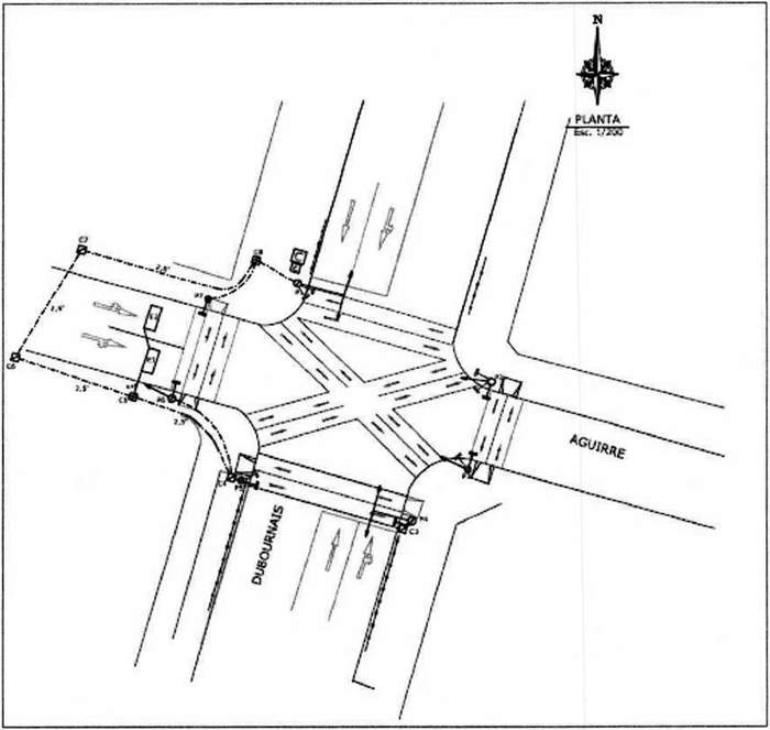
1. Que, mediante oficio indicado en Visto, el Alcalde (S) de la Ilustre Municipalidad de El Quisco, solicita autorizar la implementación de cruces Piloto en modalidad Tokio para las intersecciones de Avenida Isidoro Dubournais con José Narciso Aguirre, Avenida Isidoro Dubournais con Avenida Francia y Avenida Isidoro Dubournais con Raúl Romero Erazo.
2. Que, la solicitud se sustenta en el marco de la implementación de medidas orientadas al desconfinamiento y reducción de aglomeraciones en intersecciones semaforizadas críticas de la comuna y dada la afluencia peatonal.
3. Que, con el fin de optimizar los beneficios para los peatones de este tipo de regulación, el Alcalde (S) solicita autorización para la realización de experiencia de prueba de señalización y demarcaciones para canalizar cruces en forma diagonal en la intersección con Fase Exclusiva Peatonal.
4. Que, en coordinación conjunta entre la División de Normas y Operaciones de la Subsecretaría de Transportes, la Secretaría Regional Ministerial de Transportes y Telecomunicaciones de la Región de Valparaíso, la Unidad Operativa de Control de Tránsito (UOCT Región de Valparaíso) y la Dirección de Tránsito del Municipio, se ha consensuado un diseño en el contexto de la modalidad Programa de Mejoramiento Urbano (PMU) donde se prestó el apoyo técnico, mejorando la propuesta original.
5. Que, el artículo 3º del decreto Nº 78, de 3 de abril de 2012, del Ministerio de Transportes y Telecomunicaciones, y el artículo 1.4 del Apéndice del mismo, establecen que la señalización de tránsito es determinada únicamente por el Ministerio de Transportes y Telecomunicaciones. Por lo tanto, sólo dicha autoridad puede crear una nueva señal o autorizar una modificación a las ya existentes, y que las solicitudes de autorización para desarrollar experiencias de prueba, deben ser canalizadas a través de la Subsecretaría de Transportes.
Resuelvo:
1.- Autorízase, en la comuna de El Quisco, como experiencia de prueba, las siguientes demarcaciones y señales en las intersecciones indicadas:
- Demarcaciones:
a) Intersección de Avenida Isidoro Dubournais con José Narciso Aguirre

b) Intersección de Avenida Isidoro Dubournais con Avenida Francia

c) Intersección de Avenida Isidoro Dubournais con Raúl Romero Erazo

- Señal Informativa, en las intersecciones de Avenida Isidoro Dubournais con José Narciso Aguirre, Intersección de Avenida Isidoro Dubournais con Avenida Francia y Avenida Isidoro Dubournais con Raúl Romero Erazo:

2.- Dentro de un plazo no superior a seis meses, contados desde la fecha de recepción de las obras de señalización, el Director de Tránsito de la Ilustre Municipalidad de El Quisco informará a la Subsecretaría de Transportes de los resultados y conclusiones del proyecto piloto autorizado mediante la presente resolución, cuya metodología de evaluación será acordada con la División de Normas y Operaciones de la Subsecretaría de Transportes.
Anótese y publíquese.- José Luis Domínguez Covarrubias, Subsecretario de Transportes.